Land Adjacent To Lime Tree Cottage, Parrs Lane, Aughton, Ormskirk, Lancashire

Under offer £595,000 Guide Price

  • Building plot with additional land.
  • Outline Planning Permission granted subject to reserve matters, for large detached dwelling.
  • Planning Reference: 2023/0194/OUT.
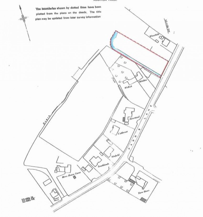
  • Total site area 0.584 acres approximately.
  • Substantial indicative dwelling as proposed.
  • Ideal prestigious self-build opportunity.
  • High value and affluent semi-rural location in Aughton near Ormskirk.
  • Adjacent land of approx 3.7 acres available by way of a separate negotiation.

The subject site extends to approximately 0.584 acres subject to confirmation with the Deeds whereby Outline Planning Consent has been granted, subject to reserved matters, for the construction of a large detached residential dwelling.

From the outline planning drawings provided, the substantial detached dwelling as proposed is indicative only as the final design, size and layout remains reserved matters.

Please note, neighbouring land owner has right of access over the area coloured blue. This land extends to approx 3.7 acres and is available by way of a separate negotiation.

Link to Rightmove listing & details below:

Land for sale in Land on the East Side of Parrs Lane, Ormskirk, Lancashire, L39 (rightmove.co.uk)

Similar Properties